Owen Sound council gave the green light to a zoning change for a new Catholic high school in the city’s east end.
Council approved a recommendation during Monday’s meeting to rezone lands west of 28th Avenue East to institutional, to allow for a new two-storey Bruce-Grey Catholic District School Board high school to be constructed.
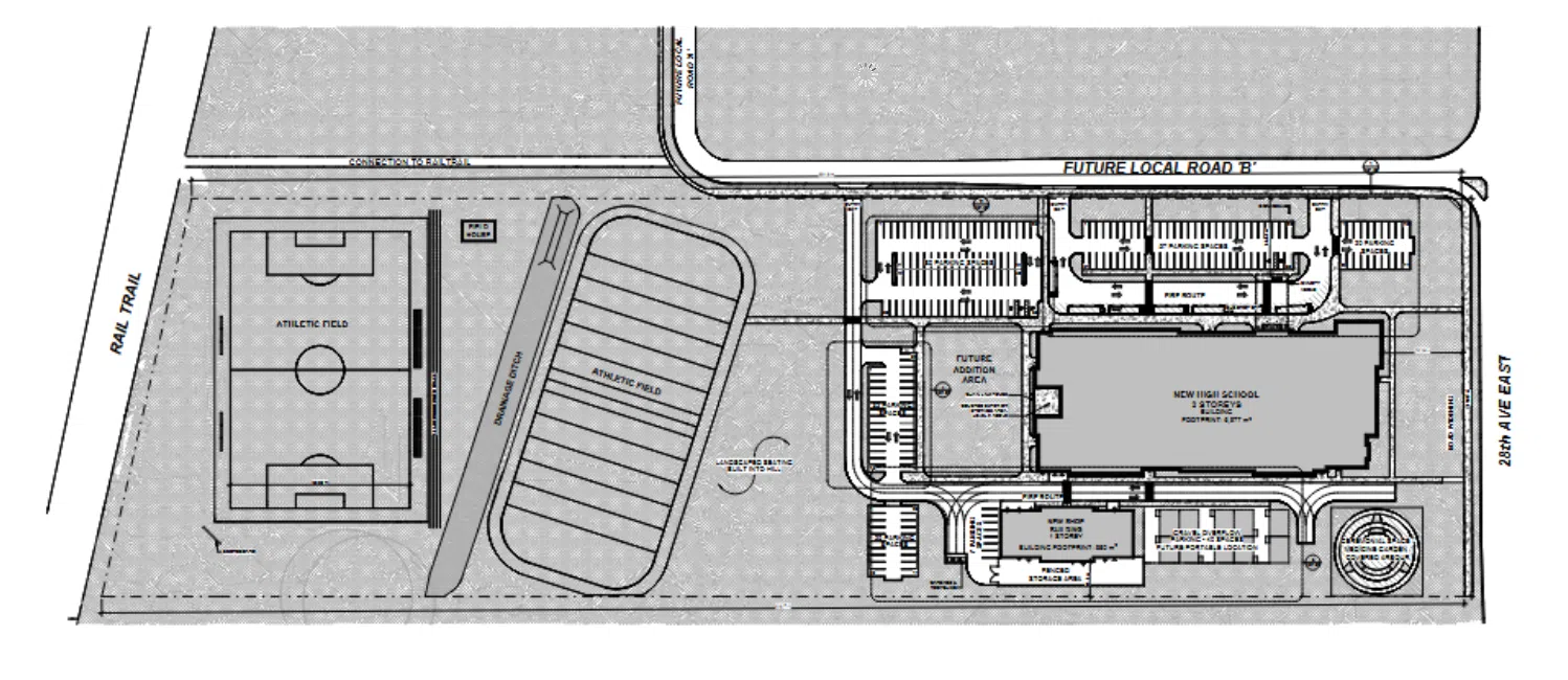
The new school is proposed on an 18.5-acre property on the city’s eastern edge, west of 28th Avenue East and south of 16th Street East.
The Grades 9-12 school would be about 130,000 square-feet. The school property would also include parking areas, two athletic fields, a field house, an auto shop and a ceremonial garden.
A new local road would be built to access the high school. It would be off 28th Avenue East, about 240 metres south of the intersection of Highway 26/28th Avenue East.
The board is aiming to have the new school — which will replace St. Mary’s High School — built in time for the 2028-29 academic year. Site plan approval is still required.
Pre-grading work will begin as early as this summer. And next year, municipal services will be installed.
Owen Sound’s Director of Community Services Pam Coulter says it’s believed the new Catholic high school will be the first development to take advantage of sanitary sewer service installed by the city in what’s known as the Sydenham Heights Planning Area, where draft plans for subdivisions with more than 1,000 housing units combined have come before council over the past eight years; but no houses have been built yet.
In 2017, the city completed work on a new watermain and sanitary sewer line near 8th Street East. The intent of the $3.2-million infrastructure project was to incentivize development in the Sydenham Heights Planning Area in Owen Sound’s east end.
“I’m confident from other meetings (the new school) is going to be a catalyst for the area for other developers that want to put in residential,” Owen Sound Mayor Ian Boddy says.
The Ontario government has committed more than $36-million to the Bruce-Grey Catholic District School Board for the construction of a new high school in Owen Sound.



